Επαφές Μαραγκού με σκοπό την αξιοποίηση με λιμενικά έργα του κόλπου της Κεφάλου.

Πολιτικη Κυριακή, 22η Δεκεμβρίου 2013
Επαφές Μαραγκού με σκοπό την αξιοποίηση με λιμενικά έργα του κόλπου της Κεφάλου.
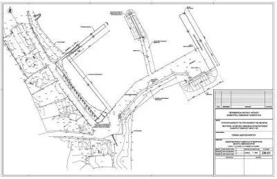
Στα πλαίσια του ευρύτερου προγραμματισμού αναβάθμισης των τουριστικών μας περιοχών και της ανάδειξης ως πρώτου στόχου του θαλάσσιου τουρισμού ο Αντιδήμαρχος Κω, κ. Σωτήρης Μαραγκός συναντήθηκε με τον Λιμενολόγο κ. Αλμπέρτο Γιαμίν υπεύθυνο μιας από τις μεγαλύτερες μελετητικές εταιρείες λιμενικών έργων (CNWAY ΣΥΜΒΟΥΛΟΙ ΜΗΧΑΝΙΚΟΙ EME) με σκοπό την προώθηση της πρότασης του λιμενικού Ταμείου Κω για την αξιοποίηση με λιμενικά έργα του κόλπου της Κεφάλου.
Ως γνωστό ο λιμενολόγος κ. Αλμπέρτο Γιαμίν βρέθηκε στην Κω για να παρουσιάσει την πρόταση που του ανατέθηκε από το Δημοτικό Λιμενικό Ταμείο Κω για την επέκταση του λιμανιού της Καρδάμαινας και τη δημιουργία 105 νέων θέσεων ελλιμενισμού τουριστικών σκαφών.
Με την ευκαιρία της επίσκεψης του στην Κω ο Αντιδήμαρχος, κ. Σωτήρης Μαραγκός σε συνεργασία με τον Αντιπρόεδρο του Δημοτικού Λιμενικού Ταμείου, κ. Νίκο Νασταχανίδη ενημέρωσαν τον κ. Γιαμίν για την πρόθεση της Δημοτικής Αρχής να αξιοποιήσει με λιμενικά και χερσαία έργα τον πανέμορφο κόλπο της Κεφάλου, του παρουσίασαν το γενικό χωροταξικό των λιμενικών έργων του νησιού και τον ξενάγησαν στην περιοχή.
Στην σύσκεψη που πραγματοποιήθηκε στα γραφεία του Λιμενικού Ταμείου αναλύθηκε λεπτομερώς ο ευρύτερος στόχος αναβάθμισης των υφιστάμενων και κατασκευής νέων λιμενικών έργων και τουριστικών λιμένων σε όλο το νησί.
Ο κ. Γιαμίν υποσχέθηκε στον Αντιδήμαρχο να του αποστείλει σε προσχέδια τις πρώτες σκέψεις του που θα έχουν ως στόχο λιμενικά έργα ήπιας έκτασης και μικρών παρεμβάσεων που θα αναβαθμίζουν τουριστικά την περιοχή της Κεφάλου και θα φιλοξενούν με ασφάλεια κυρίως τουριστικά σκάφη (yacht) μεσαίας και μεγάλης χωρητικότητας.
Ο κύριος Μαραγκός ευχαρίστησε εκ μέρους του Δημοτικού Συμβουλίου και των πολιτών της Κεφάλου τον κ. Γιαμίν και τον κάλεσε στην Κέφαλο για μια ολιγοήμερη φιλοξενία.
ΓΡΑΦΕΙΟ ΤΥΠΟΥ ΔΗΜΟΥ ΚΩ
ΦΩΤΟΓΡΑΦΙΕΣ
ΡΟΗ ΕΙΔΗΣΕΩΝ
ΑΓΓΕΛΙΕΣ & ADVERTORIALS
15 ΧΡΟΝΙΑ ΣΤΗΝ ΥΠΗΡΕΣΙΑ
ΤΗΣ ΕΝΗΜΕΡΩΣΗΣ
ΑΥΤΗ ΤΗ ΣΤΙΓΜΗ ΣΤΗΝ ΚΩ
17 °C
Σάββατο, 15 Νοεμβρίου 9:37ΠΜ
ΕΦΗΜΕΡΕΥΟΝΤΑ
ΦΑΡΜΑΚΕΙΑ
Απαγορεύεται ρητά η αναπαραγωγή κειμένου ή φωτογραφιών χωρίς άδεια.
Made by Reach Web Agency